Scopri Infinity+
Corporate
L'uragano Otis mette in ginocchio il Messico: devastata Acapulco

L'uragano Otis mette in ginocchio il Messico: devastata Acapulco

27 ott 2023 | Tgcom24

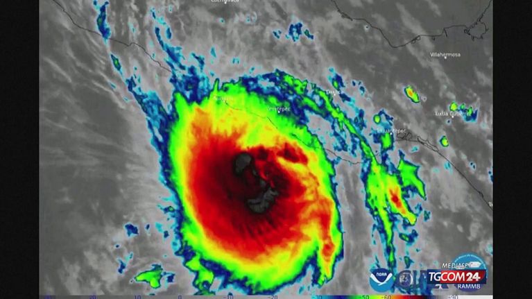
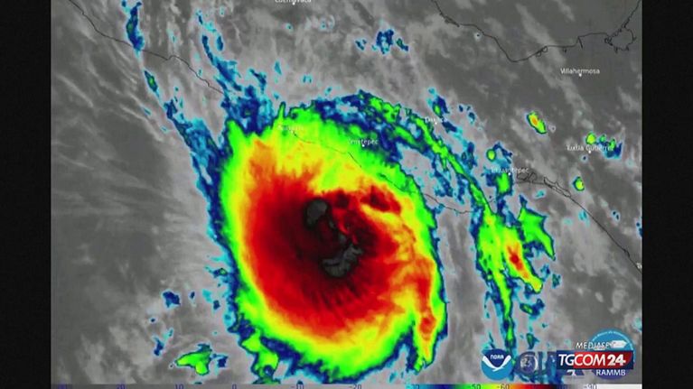
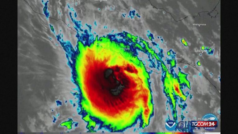
In Messico, lo Stato del Guerrero, sulla Costa del Pacifico, è stato devastato da Otis: il più forte uragano che abbia mai colpito la regione. Il bilancio delle vittime è di 27 morti. Numerosi i dispersi. Al momento in cui ha toccato terra, Otis aveva una forza di "Categoria 5": la più alta - secondo la scala d'intensità degli uragani - con raffiche di vento che hanno superato i 265 chilometri all'ora

Guarda anche